bt365娱乐场有限公司前身为河南省城乡规划设计研究院, 1983 年由省编委批准成立,性质为全民事业单位……



项目名称:长垣县2015年市政基础设施建设项目(一标段)
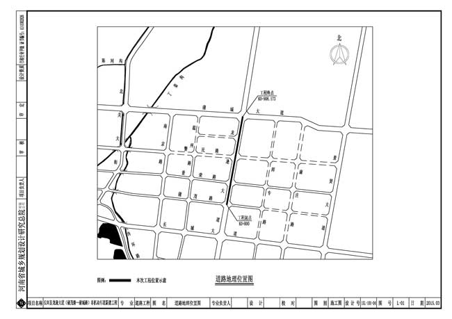
项目简介:本标段设计多集中在老城区及长垣县南部,设计内容有:1、阳泽路东段大修及翻修,2、西护城河健身广场游园,3、宏力大道与主要交叉口改造,4、龙逄大道新建非机动车道,5、纬八路翻修,6、西护城河橡胶坝建设,7、蒲城大道西段新建,8、蒲城大道中段非机动车道翻修,9、阳泽路西段加宽10、向阳路雨水渠;设计内容:道路、桥梁及园林的地质勘察及初步设计、施工图设计及审核、图纸审查、清单及控制价编制、以及施工过程中设计到设计方其他服务。
工程地址:河南省长垣县
建设单位名称:长垣县住房和城乡建设局
合同编号:15L-101
合同额:勘察优惠50.27%;设计优惠40.27%;图纸审查优惠30.37%;清单及控制价编制优惠40.17%。
总投资额:约7000万元
项目规模:约10.9公里
项目负责人:叶青
项目组成员:彭久东、赵敬林、冯凯、赵珩、陈艺冉、毕琦、刘杰、钟玲玲
起止时间:2015年01月——2015年07月